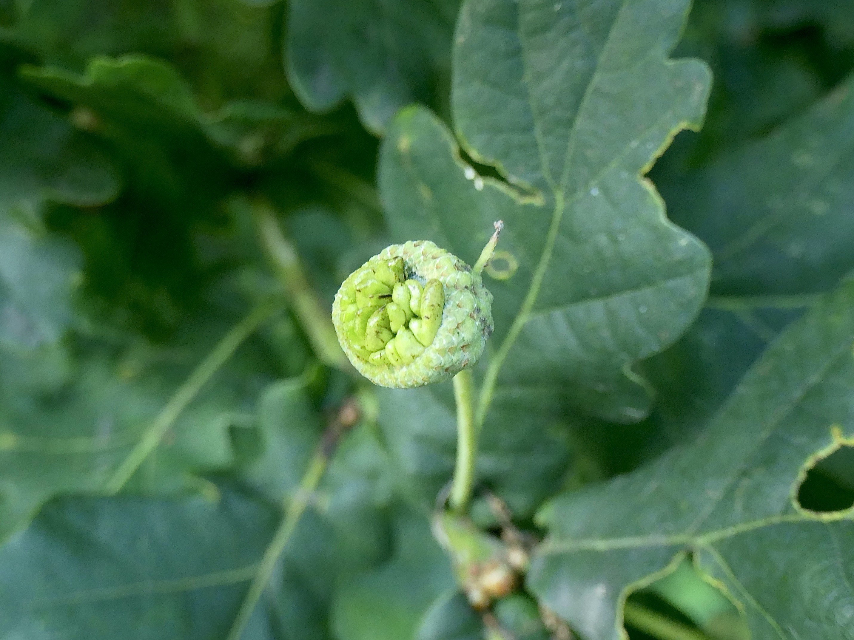
August 17th – With my fascination with galls, it’s easy to overlook the fruiting of the oaks as it should be, and I’m happy to report this year that the crop of acorns – even though it’s been hit very heavily by knopper gall wasps – is plump and profuse.
The heathy acorns I’ll later gather to spread in hedgerows and on edge lands as is my tradition look better this year than they have for years. I guess a warm but wet season was good for them, if not so much for me.
I always have a dilemma here though: I can collect acorns solely from trees unaffected by knoppers, and assume they have so resistance, but in spreading solely those am I harming the wasp ecology? I suppose I should just spread any acorns I find, but it’s an interesting conundrum…
This journal is moving home. Find out more by clicking here.
from Tumblr https://ift.tt/31JzRd4
via IFTTT


























